Acheter un terrain dans l'Essonne (91)

Modifier ma recherche
758 annonces
Philippe FOUCHE - Immoliaison
Annonce mise à jour le 23/04/2025
Proposée par Philippe FOUCHE - Immoliaison 23/04/2025
2
Terrain

728 000 €
Terrain

Villiers-sur-Orge (91700)

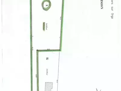
EXCLUSIVITÉ IMMOLIAISON Dans le secteur de " La Seignerie", a Villiers sur Orge, Terrain de 3489 m² en Zone A.U ( Zone d'Urbanisation future ) . Plat, peu boisé. LOT arriere avec une allée de 5,46 de largeur sur 60, 09 de longueur, donnant acces a un reste de terrain de 3 161 m². Prix du M²: 208,65 € VENDU EN 1 LOT Honoraires charge vendeur Agent commercial Contacter IMMOLIAISON - Philippe FOUCHE - 06 32 37 65 21 - Agent commercial - RSAC N° 390 754 349 - Ville du greffe : EVRY Plus d'informations sur (réf. 0601117526) Honoraires à la charge du vendeur - RCS 40834475202127 - Caisse de garantie QBE transaction 500000 EUR

Agent immobilier ?
Diffusez GRATUITEMENT toutes vos annonces sur Superimmo.com
Agence ORPI Etampes
Annonce publiée le 13/03/2025 - mise à jour 16/07/2025
Proposée par Agence ORPI Etampes 13/03/2025 - mise à jour 16/07/2025
3
Terrain, 814 m²

88 000 € 108 €/m²
Terrain • 814 m²

Bouville (91880)

En exclusivité, situé à 10 kms d'Etampes , secteur Bouville , beau terrain plat de 814 M2 constructible, borné et cadastré . Bel exposition situé dans une rue très calme Référence agence : 1152

FONCIA TRANSACTION ANTONY MOUNIE
Annonce publiée le 24/07/2025 - mise à jour 30/08/2025
Proposée par FONCIA TRANSACTION ANTONY MOUNIE 24/07/2025 - mise à jour 30/08/2025
4
Terrain, 615 m²

550 000 € 894 €/m²
Terrain • 615 m²

Verrières-le-Buisson (91370)

EXCLUSIVITE FONCIA Pour renseignements ou demande de visite demander M ROUVERON a l'agence ou sur ligne directe au 01 46 74 79 72 Dans le secteur calme et verdoyant de Verrières le Buisson située à 800m de l'École Steiner-Waldorf et a moins de 5 minutes du court de le BIEVRES et de la foret de verrières idéal pour la randonnée et la cueillette, venez visiter ce terrain constructible de 615m2, constructibilité possible 300m2 environ. Caractéristiques du terrain : Superficie totale : 615 m2, Façade : 21,04 mètres, profondeur 32,92 mètres, Ce terrain offre un emplacement idéal pour la construction de votre future maison. Sa superficie généreuse vous permettra de réaliser vos projets immobiliers selon vos besoins et vos envies. La situation en exposition SUD a l'avant garantit une luminosité optimale tout au long de la journée. Veuillez noter qu'une petite démolition est à prévoir sur le terrain. Cela vous permettra de commencer votre projet de construction sur une base neuve, en adaptant parfaitement votre future maison à vos besoins. Ne manquez pas cette opportunité unique d'acquérir un terrain constructible dans un emplacement privilégié ! UNE VISITE S'IMPOSE !

LES PORTES DE L'IMMOBILIER
Annonce publiée le 11/09/2025 - mise à jour 26/09/2025
Proposée par LES PORTES DE L'IMMOBILIER 11/09/2025 - mise à jour 26/09/2025
1
Terrain, 1 550 m²

82 500 € 53 €/m²
Terrain • 1 550 m²

Maisse (91720)

MAISSE (91720) *** EXCLUSIVITÉ *** LIBRE CHOIX CONSTRUCTEUR Dans un secteur calme, un TERRAIN CONSTRUCTIBLE d'environ 1550 m², façade linéaire d'environ 10,60 m, non viabilisé. Règles de constructions : Tout à l'égout 11 m max de faitage 94 m² maximum d'emprises au sol. PROCHE TOUTES COMMODITES : commerces, écoles, médecins, A6. RER D à proximité. *** ELIGIBLE AU PRET A TAUX 0% *** Les informations sur les risques auxquels ce bien est exposé sont disponibles sur le site Géorisques : www.georisques.gouv.fr Honoraires charge vendeur : 7.500€ TTC. Frais de notaire en sus. LES PORTES DE L'IMMOBILIER ne peut recevoir ni détenir d'autres fonds, effets ou valeurs que ceux représentatifs de sa rémunération ou de ses honoraires.

SPEEDIMMO
Annonce publiée le 11/10/2025 - mise à jour 05/12/2025
Proposée par SPEEDIMMO 11/10/2025 - mise à jour 05/12/2025
4
Terrain, 891 m²

220 000 € 247 €/m²
Terrain • 891 m²

Boussy-Saint-Antoine (91800)

Terrain à bâtir de 891m² pour Projet de construction maison individuelle dans un secteur calme et proche de toutes commodités (écoles ROCHOPT, commerces centre ville, transports...) R+C Façade de 18m Zone PLU UB1 Libre de tous constructeurs Boussy-Saint-Antoine est traversée par l'Yerres. Elle est desservie par la RN6 qui permet de rejoindre le centre de Paris (35 km) et par une gare (RER D). Elle dispose sur son territoire de deux maisons de retraite, deux écoles primaires et un collège. Riche en équipements culturels et sportifs (bibliothèque, terrains de football, de tennis, de pétanque, piscine municipale..).

ABEILLE conseil immobilier
Annonce mise à jour le 17/05/2025
Proposée par ABEILLE conseil immobilier 17/05/2025
2
Terrain, 1 556 m²

99 000 € 64 €/m²
Terrain • 1 556 m²

Chalo-Saint-Mars (91780)

Terrain à batîr de 1556m2, façade de 22 métres, possibilité de construire une maison de 80m2 au sol. Viabilités sur rue, cadre naturel. Environnement privilégié, nouveauté à visiter sans tarder ! + de biens sur

Laure BELCASTRO - efficity
Annonce publiée le 17/05/2025 - mise à jour 16/10/2025
Proposée par Laure BELCASTRO - efficity 17/05/2025 - mise à jour 16/10/2025
2
Terrain, 809 m²

179 000 € 221 €/m²
Terrain • 809 m²

Quincy-sous-Sénart (91480)

91480 - QUINCY SOUS SENART - LOT AVANT - TERRAIN CONSTRUCTIBLE DE 809 m² - LIBRE CONSTRUCTEUR - VUE PANORAMIQUE SUR LA FORET DE SENART RARE SUR LE SECTEUR ! Laure BELCASTRO de l'Agence EFFICITY, l'Agence qui estime votre bien en ligne, vous présente un GRAND TERRAIN de 809m² sur la charmante commune de Quincy-sous-Sénart en ESSONNE dans un secteur calme, résidentiel et verdoyant à proximité de toutes les commodités. EMPRISE AU SOL MAXIMALE de 40% soit plus de 320m² pour votre construction principale + annexes, terrasses, piscine... Je vous mets en relation avec professionnels de la construction pour vous accompagner dans votre projet dès notre première visite. PLU, exemples d'avant-projet de construction à disposition. L'ENVIRONNEMENT : secteur calme à 10 min à pied des écoles, commerces, hôpital privé Claude Galien, centre commercial Val d'Yerres, gare RER D, bord de l'Yerres, forêt de Sénart. Accès rapide N6 /A5. Prévoir la démolition d'une petite maison sur le terrain. Contactez-moi dès maintenant! Disponible 7/7, organisons une visite ! Les informations sur les risques auxquels ce bien est exposé sont disponibles sur le site Georisque : georisques. gouv. fr Laure Belcastro - EI - est Agent Commercial mandataire en immobilier, immatriculé au Registre Spécial des Agents Commerciaux du Tribunal de Commerce de Créteil sous le n°908106743. Siège social du mandant : effiCity, 48 avenue de Villiers - 75017 PARIS - Société par Actions Simplifiée, société au capital de 132 373,05 euros, immatriculée au RCS Paris 497 617 746 et titulaire de la Carte professionnelle CPI 7501 2015 000 002 025 - CCI Paris IDF - Caisse de Garantie : GALIAN Assurances 89 rue de la Boétie 75008 Paris

Les Agences Primo Wissous
Annonce mise à jour le 30/08/2025
Proposée par Les Agences Primo Wissous 30/08/2025
1
Terrain, 177 m²

Prix en baisse 163 000 € 921 €/m²
Terrain • 177 m²

Wissous (91320)

WISSOUS - Terrain 177m² Dans un lotissement en création, terrain entièrement viabilisé d'environ 177m² dans une impasse privée avec permis de construire. Construction de 110m² environ.

Comptoir Immobilier de France - Agence de Boutigny-sur-Essonne
Annonce mise à jour le 21/08/2025
Proposée par Comptoir Immobilier de France - Agence de Boutigny-sur-Essonne 21/08/2025
6
Terrain, 1 463 m²

Prix en baisse 149 000 € 102 €/m²
Terrain • 1 463 m²

La Forêt-le-Roi (91410)

Votre agence CIF Gatinais vous propose à LA FORÊT LE ROI / PROCHE DOURDAN - Gare RER C (9 km) - Terrain plat constructible de 1463 m2 env., non-viabilisé. - Viabilité sur rue (eau, électricité, télécom et tout à l'égout), devant le bien. - TERRAIN LIBRE DE CONSTRUCTEUR - En zone Ub du PLU / Emprise au sol 40% / Distances aux limites séparatives: 8 m et pour les murs aveugles: 3m / Hauteur : 9m au faîtage / Toiture (ardoises, tuiles, zinc, cuivre) 35 à 45o ou terrasse végétalisée. - Sur place : Ecole primaire avec cantine, bus et épicerie ambulante. - Dourdan (6,5 km) : Collèges, lycées, toutes commodités, tous commerces et supermarchés, hôpital, bus, gare RER C (Paris St Michel 55 mn) / TER (Paris Austerlitz 35 mn) - Étampes (9 km) : Centre commercial, tous commerces et hôpital- Autoroute A10 (sortie Dourdan) à 13km/12mn. Cette annonce vous est proposée par M. Sébastien DESBOURDES - EI - NoRSAC: 511532772, Enregistré au Greffe du tribunal de commerce de EVRY COMPTOIR IMMOBILIER DE FRANCE - Plus d'informations sur - « Les informations sur les risques auxquels ce bien est exposé sont disponibles sur le site Géorisques : www.georisques.gouv.fr »

ERA Agence Fonciere De Linas Montlhery
Annonce mise à jour le 05/09/2025
Proposée par ERA Agence Fonciere De Linas Montlhery 05/09/2025
3
Terrain, 2 003 m²

Prix en baisse 360 000 € 180 €/m²
Terrain • 2 003 m²

Marcoussis (91460)

TERRAIN EN LOT AVANT DE 2003 M2. Votre agence ERA LINAS, vous propose à la vente un TERRAIN à bâtir de 2003 m2 en lot avant avec une façade de 35 mètres environ. Emprise au sol possible, jusqu'à 140 m2. Libre de constructeur. À visiter !!! Pour plus d'informations concernant ce bien, contacter notre agence immobilière ERA LINAS au 01 69 80 94 44.

Agence De L'eglise
Annonce publiée le 14/12/2024 - mise à jour 25/09/2025
Proposée par Agence De L'eglise 14/12/2024 - mise à jour 25/09/2025
4
Terrain, 470 m²

250 000 € 532 €/m²
Terrain • 470 m²

Morangis (91420)

Sur la commune de MORANGIS : Beau terrain de 470 m2 en lot arrière avec une allée large de 3,50m et un plateau de 20,67m X 17,22m, autorisant une maison de plain-pied de 10m de façade. La démolition du garage et la création d'une rampe est nécessaire. Il est situé au coeur de la zone pavillonnaire, proche des écoles, des commerces et des transports.

Agence du Chateau
Annonce mise à jour le 06/12/2025
Proposée par Agence du Chateau 06/12/2025
3
Terrain, 400 m²

Prix en baisse 221 000 € 553 €/m²
Terrain • 400 m² • 1 chambre

Gif-sur-Yvette (91190)

Terrain à bâtir de 400 m² , Situé à 5 min à pied du centre ville du quartier de Chevry. ZONE UH c, façade, 10 mètres, profondeur 40 mètres, possible de positionner la maison en limite de chaque côté ou d'un seul côté. Coefficient d'emprise au sol, 25 % pour la construction principale et 7 % pour les annexes. Possible R+1 +C avec maximum 100 m² au sol Un garage obligatoire et une place de stationnement Honoraires forfaitaires inclus à la charge de l'acquéreur de 3.76% TTC (8.000 euros) - 213.000 euros net vendeur. (3.76 % honoraires TTC à la charge de l'acquéreur.)

AGENCE DE LA GAUDRÉE
Annonce mise à jour le 08/12/2025
Proposée par AGENCE DE LA GAUDRÉE 08/12/2025
3
Terrain, 961 m²

180 000 € 187 €/m²
Terrain • 961 m²

Dourdan (91410)

DOURDAN A proximité du centre-ville et des commerces. Dans une rue calme. Terrain à bâtir de 961m2 sur 2 niveaux en Zone UR3. Façade de 38m. Emprise au sol maximum de 40%. Viabilités en bordure. Honoraires à la charge du vendeur. Les informations sur les risques auxquels ce bien est exposé sont disponibles sur le site Géorisques : georisques.gouv.fr.

CABINET PANACCIONE IMMOBILIER
Annonce publiée le 14/07/2025 - mise à jour 08/12/2025
Proposée par CABINET PANACCIONE IMMOBILIER 14/07/2025 - mise à jour 08/12/2025
2
Terrain

Prix en baisse 210 000 €
Terrain

Villemoisson-sur-Orge (91360)

TERRAIN Dans un secteur recherché et pavillonnaire, un terrain plat à bâtir en lot sur 427 m² plat façade sur rue de 17,64 mètre en lot arrière. Constructeur libre . Prix : 219 000 * *Dont Honoraires % TTC à la charge de l'acquéreur calculés sur la base du prix net vendeur Prix hors honoraires : 204 000 Montant estimé des dépenses annuelles d'énergie pour un usage standard : non communiqué.

SAMUEL ABERGEL - BSK Immobilier
Annonce mise à jour le 28/11/2025
Proposée par SAMUEL ABERGEL - BSK Immobilier 28/11/2025
5
Terrain, 765 m²

Prix en baisse 249 700 € 326 €/m²
Terrain • 765 m²

Mennecy (91540)

Beau terrain plat constructible entièrement viabilisé*. LOT 10 : Terrain d'une superficie de 765 m² Situé en zone UDA, R+C, 4 mètres à l'égout du toit, emprise au sol maximale de 30%. Façade de 22 m environ. *Viabilisé (eau, tout à l'égout, Electricité, gaz, téléphone) Environnement calme, recherché, proche RER D, A6, N7, et de toutes commodités à pied ( Ecoles, gare, centre ville). Cette annonce référence 228374 vous est présentée par votre agent commercial BSK Immobilier SAMUEL ABERGEL (EI) immatriculé au RSAC de EVRY (91000) sous le numéro 53218873700011. Prix du bien : 249 700,00 € Les honoraires d'agence sont à la charge du vendeur. Les informations sur les risques auxquels ce bien est exposé sont disponibles sur le site Géorisques : www.georisques.gouv.fr