Acheter un terrain à Chirens (38850)

Modifier ma recherche
4 annonces
Isabel ROUX - SAFTI
Annonce publiée le 28/03/2025 - mise à jour 01/11/2025
Proposée par Isabel ROUX - SAFTI 28/03/2025 - mise à jour 01/11/2025
6
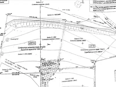
Terrain, 1 004 m²

Prix en baisse 119 000 € 119 €/m²
Terrain • 1 004 m²

Chirens (38850)

Sur les hauteurs de Chirens limite Charavines et dans un quartier calme, joli terrain à bâtir en zone UC. Ce terrain de 1004m² (LOT A) non viabilisé se trouve en deuxième ligne avec une zone boisée à l'arrière. Un chemin d'accès est en place avec servitude de passage inscrite sur acte notarié. Des constructions individuelles sont présentes sur les lots B et C. Eau et TAE à proximité en bordure de route à env 40m et l'électricité à 10m env. Pente légère. Libre de tous constructeurs. Dimensions du Lot A sur plan. Construction possible dans le respect des prescriptions de la zone UC en vigueur. Ce terrain n'attend plus que vous alors contactez moi sans tarder !! Les informations sur les risques auxquels ce bien est exposé sont disponibles sur le site Géorisques : www.georisques.gouv.fr Prix de vente : 119 000 € Honoraires charge vendeur Contactez votre conseiller SAFTI : Isabel ROUX, Tél. : 06 03 22 96 39, E-mail : - EI - Agent commercial immatriculé au RSAC de MONTAUBAN sous le numéro 510335821 - SAFTI – ROUX Isabel, Conseiller indépendant

Agent immobilier ?
Diffusez GRATUITEMENT toutes vos annonces sur Superimmo.com
Amandine MARTINON - ikami
Annonce publiée le 18/09/2025 - mise à jour 25/09/2025
Proposée par Amandine MARTINON - ikami 18/09/2025 - mise à jour 25/09/2025
1
Terrain, 553 m²

99 500 € 180 €/m²
Terrain • 553 m²

Chirens (38850)

Venez découvrir cette belle opportunité sur la commune de Chirens. Un terrain de 553 m2 constructible, viabilisé, situé dans un secteur calme et proche des commodités. Le terrain est hors lotissement, entièrement plat au calme. Surface idéale pour la réalisation de votre projet immobilier. A proximité immédiate de Voiron centre-ville, 40 minutes de Grenoble. - Annonce rédigée et publiée par un Agent Mandataire -

SABINE PETITCLERC - BSK Immobilier
Annonce publiée le 14/10/2025 - mise à jour 27/11/2025
Proposée par SABINE PETITCLERC - BSK Immobilier 14/10/2025 - mise à jour 27/11/2025
3
Terrain, 609 m²

99 000 € 163 €/m²
Terrain • 609 m²

Chirens (38850)

Terrain constructible de 609 m² – secteur calme est paisible (Chemin de la Garangère) À découvrir, ce joli terrain plat de 609m², idéalement situé au calme tout en restant proche des commerces, écoles, collèges et transports. - Le terrain est situé dans un lotissement au sens juridique ( division parcellaire ), mais il ne s'agit pas d'un lotissement avec des parties communes ou des charges de copropriété. - Il est destiné à la construction d'une maison individuelle uniquement, et reste libre de tout constructeur, vous laissant le choix de réaliser le projet qui vous ressemble. - Le terrain est borné et sera livré non viabilisé, mais tous les réseaux ( eau, électricité, télécom ) ainsi que tout-à-l'égout se trouvent en bordure immédiate. Un environnement paisible, parfait pour concrétiser votre projet de vie. Pour plus d'informations ou organiser une visite, me contactez : Cette annonce référence 306984 vous est présentée par votre agent commercial BSK Immobilier SABINE PETITCLERC (EI) immatriculé au RSAC de GRENOBLE (38000) sous le numéro 79269767400010. Prix du bien : 99 000,00 € Les honoraires d'agence sont à la charge du vendeur. Les informations sur les risques auxquels ce bien est exposé sont disponibles sur le site Géorisques : www.georisques.gouv.fr

TEPER Marie Laure - Réseau HB
Annonce publiée le 15/12/2024 - mise à jour 28/10/2025
Proposée par TEPER Marie Laure - Réseau HB 15/12/2024 - mise à jour 28/10/2025
3
Terrain, 1 200 m²

73 000 € 61 €/m²
Terrain • 1 200 m²

Chirens (38850)

EXCLUSIVITE Marie-Laure TEPER vous propose ce terrain plat hors lotissement au bout d'une impasse, les réseaux : eau, électricité, tout-à -l'égout, Ptt à récupérer en bordure de parcelle. Plus d'informations ou une visite contactez-moi au06.88.78.64.35 A très vite Marie-Laure TEPER Marie Laure TEPER (EI) Agent Commercial - Numéro RSAC : 44039951700034 - MASSIEU.