01 48 84 44 44 Appelez de la part de Superimmo.com

Vos informations sont transmises directement à l'agence afin qu'elle traite votre demande. Voir notre charte des données personnelles.

Contacter par email
Description

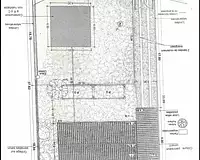
Le cabinet Favreau a le plaisir de vous présenter ce grand terrain constructible sur Orly, dans une zone pavillonnaire calme et sécurisée. D'une superficie de 669m², un garage/hangar est déjà construit, et un permis de construire est validé pour la construction d'une maison. Le terrain est viabilisé, et a été divisé en deux lots, le premier de 409m² avec le permis de construire, le deuxième de 260m², avec le garage. Proximité immédiate avec le RER C Orly ville et le métro 14 Thiais-Orly. Elijah DUPUY (EI) Agent Commercial - Numéro RSAC : - .

Publiée le 02/07/2025 - Réf. agence : T25-007 - Réf Superimmo : ANVXYY3I6
Vous rencontrez un problème sur le site ?
Merci de nous signaler le problème
Caractérisques
Prix de vente : 379 000 €Prix au m² : 567 € / m²

Honoraires à la charge du vendeur. Barème d’honoraires : voir le barème

669 m²
Intéressez par ce type de bien ?
Pour recevoir par email les annonces similaires
CRÉER UNE ALERTE
Localisation
DEMANDER L’ADRESSE
Cette annonce vous est proposée par :
148 avis clients
01 48 84 44 44 Appelez de la part de Superimmo.com

Vos informations sont transmises directement à l'agence afin qu'elle traite votre demande. Voir notre charte des données personnelles.