02 33 67 63 47 Appelez de la part de Superimmo.com

Vos informations sont transmises directement à l'agence afin qu'elle traite votre demande. Voir notre charte des données personnelles.

Contacter par email
Description

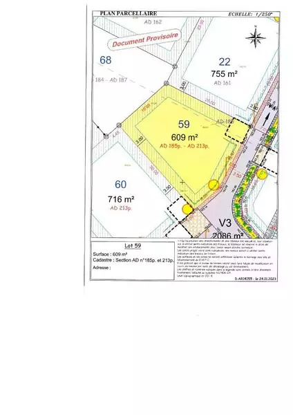
Devenez propriétaire de votre terrain à partir de 610 m² viabilisés. Assainissement et eaux pluviales collectifs. Gaz de ville. Taxe foncière avantageuse. Ecole & bus de ville. Proche échangeur A 88. Environnement calme et agréable. Opportunité à saisir !
Référence agence : 4054

Maj le 07/11/2025 - Réf. agence : 7Q6D-WMJ-T8N - Réf Superimmo : ANVXWQNYA
Vous rencontrez un problème sur le site ?
Merci de nous signaler le problème
Caractérisques
Prix de vente : 41 600 €Prix au m² : 68 € / m²

Honoraires à la charge du vendeur. Barème d’honoraires : voir le barème

Disponible immédiatement610 m²
Assainissement : tout à l'égout
Intéressez par ce type de bien ?
Pour recevoir par email les annonces similaires
CRÉER UNE ALERTE
Localisation
DEMANDER L’ADRESSE
Cette annonce vous est proposée par :
02 33 67 63 47 Appelez de la part de Superimmo.com

Vos informations sont transmises directement à l'agence afin qu'elle traite votre demande. Voir notre charte des données personnelles.