02 96 72 61 01 Appelez de la part de Superimmo.com

Vos informations sont transmises directement à l'agence afin qu'elle traite votre demande. Voir notre charte des données personnelles.

Contacter par email
Description

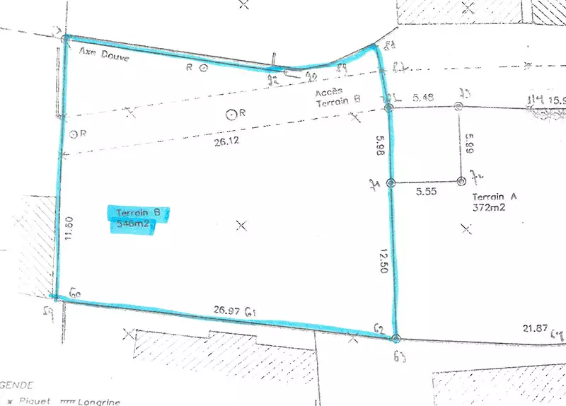
Terrain situé dans les Grèves Langueux, d'une surface de 546 m² env. - Surface qui sera déterminée après bornage - situé à 2 pas de la baie - A VISITER! Les informations sur les risques auxquels ce bien est exposé sont disponibles sur le site Géorisques : www.georisques.gouv.fr ». Consultez tous nos biens disponibles sur notre site : YFFINIAC IMMOBILIER : 6, Rue du Général de Gaulle 22120 YFFINIAC - CONTACTEZ-NOUS AU 02.96.72.61.01 (5.00 % honoraires TTC à la charge de l'acquéreur.)

Maj le 27/11/2025 - Réf. agence : 5231 - Réf Superimmo : ANVXVGX5W
Vous rencontrez un problème sur le site ?
Merci de nous signaler le problème
Caractérisques
Prix de vente : 114 660 €Prix au m² : 210 € / m²

Honoraires à la charge de l'acquéreur : 5% TTC - 5 460 € TTC inclus dans le prix de vente. Barème d’honoraires : voir le barème

546 m²
Intéressez par ce type de bien ?
Pour recevoir par email les annonces similaires
CRÉER UNE ALERTE
Localisation
DEMANDER L’ADRESSE
Cette annonce vous est proposée par :
02 96 72 61 01 Appelez de la part de Superimmo.com

Vos informations sont transmises directement à l'agence afin qu'elle traite votre demande. Voir notre charte des données personnelles.