06 78 68 75 87 Appelez de la part de Superimmo.com

Vos informations sont transmises directement à l'agence afin qu'elle traite votre demande. Voir notre charte des données personnelles.

Contacter par email
Description

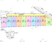
LALOME votre marchand de biens - Lotisseur LALOME INVESTISSEMENT vous présente à la vente plusieurs terrains à bâtir de 536 à 713 m², sur la commune de Dreux- rare à la vente. Dans un très bel environnement au calme avec vue sur les champs, au coeur d'une résidence privée de qualité. Entièrement viabilisé en tout à l'égout, eau, électricité et téléphone (fibre). Borné avec plan de géomètre. Libre de constructeur. Construction R plus Combles 8m au faitage. Expo parfaite sud/Ouest Crèches, Ecoles maternelle et primaire, collège Lycée à proximité à proximité ainsi que la zone commercial des bas Buisson à 800m, Accès très rapide N12 : Houdan 18 min, Plaisir 39 min, Vélizy 46 min, Paris moins de 1h. Gare de Dreux à 10 min (55 min direction Montparnasse et Versailles chantier) A partir de 75.000 euros, dépôt de permis de construire immédiat REF 51 Venez visiter votre futur terrain avec votre marchand de biens lotisseur Lalome Investissement !

Maj le 30/06/2025 - Réf. agence : 51 - Réf Superimmo : ANVXS9QDV
Vous rencontrez un problème sur le site ?
Merci de nous signaler le problème
Caractérisques
Prix de vente : 75 000 €Prix au m² : 140 € / m²
536 m²Lotissement
Intéressez par ce type de bien ?
Pour recevoir par email les annonces similaires
CRÉER UNE ALERTE
Localisation
DEMANDER L’ADRESSE
Cette annonce vous est proposée par :
06 78 68 75 87 Appelez de la part de Superimmo.com

Vos informations sont transmises directement à l'agence afin qu'elle traite votre demande. Voir notre charte des données personnelles.