06 20 81 58 39 Appelez de la part de Superimmo.com

Vos informations sont transmises directement à l'agence afin qu'elle traite votre demande. Voir notre charte des données personnelles.

Contacter par email
Description

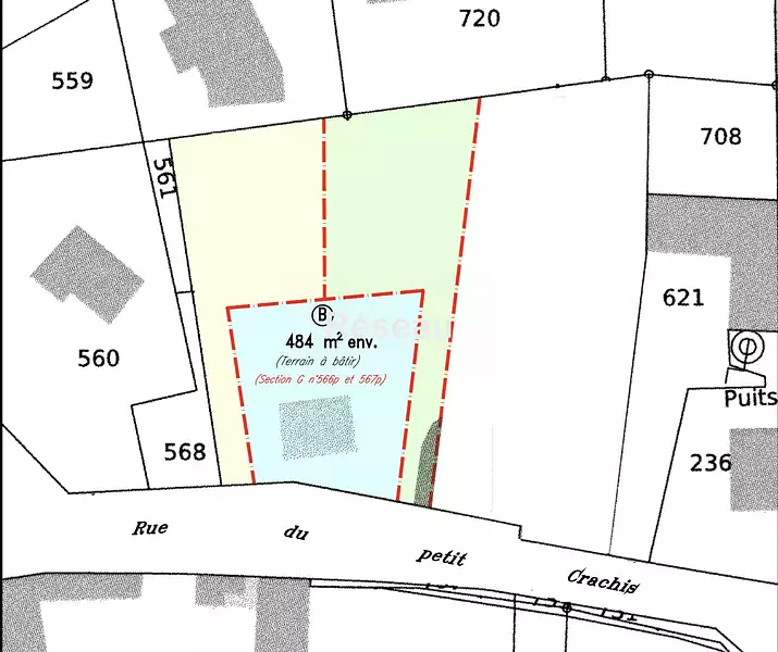
Terrain à bâtir de 484m2 à usage d'habitation en centre ville de FERRIERES EN GATINAIS .
1h10 de Paris, accès A6, proche toutes commodités, commerces, écoles, collège.
Gare SNCF à 15mn à pied.
N hésitez pas à me contacter également pour les autres terrains disponibles.
Honoraires à la charge du vendeur. Les informations sur les risques auxquels ce bien est exposé sont disponibles sur le site Géorisques : georisques.gouv.fr.
Votre conseiller Alix-Immo : Olivier ROCARD
Agent commercial (Entreprise individuelle)
RSAC 835 007 964

Publiée le 14/08/2025 - maj le 05/12/2025 - Réf. agence : VT064-IMAX - Réf Superimmo : ANVXZAA4T
Vous rencontrez un problème sur le site ?
Merci de nous signaler le problème
Caractérisques
Prix de vente : 59 000 €Prix au m² : 122 € / m²

Honoraires à la charge du vendeur. Barème d’honoraires : voir le barème

484 m²Vue dégagée
Intéressez par ce type de bien ?
Pour recevoir par email les annonces similaires
CRÉER UNE ALERTE
Localisation
DEMANDER L’ADRESSE
Cette annonce vous est proposée par :
06 20 81 58 39 Appelez de la part de Superimmo.com

Vos informations sont transmises directement à l'agence afin qu'elle traite votre demande. Voir notre charte des données personnelles.