03 89 73 49 97 Appelez de la part de Superimmo.com

Vos informations sont transmises directement à l'agence afin qu'elle traite votre demande. Voir notre charte des données personnelles.

Contacter par email
Description

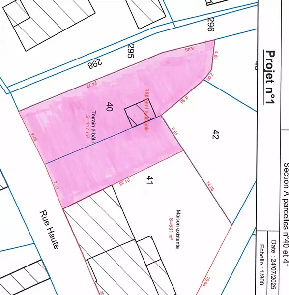
Entre Molsheim et Strasbourg, à DANGOLSHEIM, notre agence RIBO Immobilier vous propose en exclusivité ce terrain à bâtir de 4,17 ares localisé au calme dans une impasse.
Terrain à viabiliser.
Le bien immobilier (Terrain à bâtir) est proposé au prix de 99.000€, incluant 9000€ d'honoraires d'agence à la charge de l'acquéreur, soit un prix net vendeur de 90.000€.
Les risques auxquels ce bien est exposé sont consultable sur https://www.georisques.gouv.fr/

Publiée le 21/08/2025 - maj le 16/11/2025 - Réf. agence : RVTE10000204 - Réf Superimmo : ANVXZB7XW
Vous rencontrez un problème sur le site ?
Merci de nous signaler le problème
Caractérisques
Prix de vente : 99 000 €Prix au m² : 237 € / m²

Honoraires à la charge de l'acquéreur : 10% TTC - 9 000 € TTC inclus dans le prix de vente. Barème d’honoraires : voir le barème

417 m²
Intéressez par ce type de bien ?
Pour recevoir par email les annonces similaires
CRÉER UNE ALERTE
Localisation
DEMANDER L’ADRESSE
Cette annonce vous est proposée par :
03 89 73 49 97 Appelez de la part de Superimmo.com

Vos informations sont transmises directement à l'agence afin qu'elle traite votre demande. Voir notre charte des données personnelles.