07 73 07 89 76 Appelez de la part de Superimmo.com

Vos informations sont transmises directement à l'agent afin qu’il traite votre demande.

Contacter par email
Description

iad France - Sophie Belloir vous propose: EXCEPTIONNEL !!!
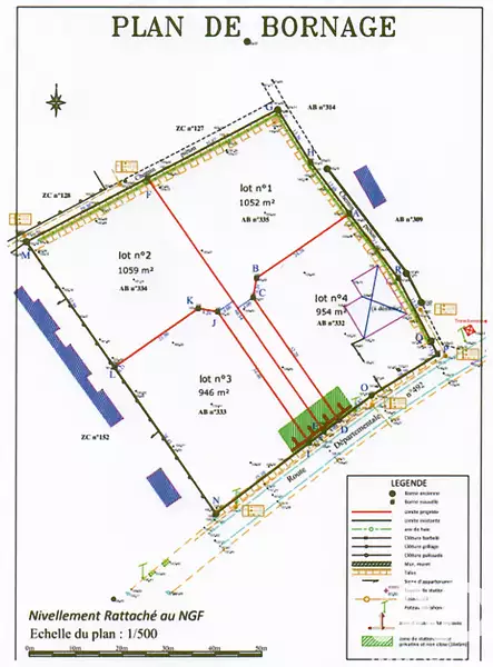
4 Terrains Constructibles aux Loges-Marchis.
Vue dégagée à proximité de l'école et du transport scolaire, axe Fougères/Saint-Hilaire-du-Harcouët
À saisir rapidement : 4 terrains constructibles idéalement situés, d’une surface comprise entre 946 m² et 1 059 m², dans un environnement calme et verdoyant.
- Vue dégagée à proximité de l'école et du transport scolaire, axe Fougères/Saint-Hilaire-du-Harcouët.
- Surface : 946 m² à 1 059 m²
- Viabilisation : eau, communication, assainissement collectif, hors électricité
- Environnement : quartier résidentiel paisible, proche du bourg
- Orientation idéale pour construction lumineuse
- Accès rapide aux commerces, écoles et axes routiers
- Un excellent rapport qualité/prix pour un projet de construction sur mesure.
- Parcelles spacieuses et bien proportionnées
- Cadre nature sans vis-à-vis direct
- Commune dynamique au cOEur du Sud-Manche
- Libre de tout constructeur
- Belle surface de terrain (RARE).
- Libre de constructeur !!!
....... Opportunité rare dans le secteur !!!......
Honoraires d'agence à la charge du vendeur.
Bien non soumis au DPE. Les informations sur les risques auxquels ce bien est exposé, y compris l'obligation légale de débroussaillement, sont disponibles sur le site Géorisques : http://www.georisques.gouv.fr.
La présente annonce immobilière a été rédigée sous la responsabilité éditoriale de Mme Sophie Belloir mandataire indépendant en immobilier (sans détention de fonds), agent commercial de la SAS I@D France immatriculé au RSAC de COUTANCES sous le numéro 918038118, titulaire de la carte de démarchage immobilier pour le compte de la société I@D France SAS.

Publiée le 18/11/2025 - maj le 21/11/2025 - Réf. agence : 1892574 - Réf Superimmo : ANVXZWMLC
Vous rencontrez un problème sur le site ?
Merci de nous signaler le problème
Caractérisques
Prix de vente : 124 500 €Prix au m² : 31 € / m²

Honoraires à la charge du vendeur. Barème d’honoraires : voir le barème

4 000 m²
Bilan énergétique
Non soumis au DPE
Intéressez par ce type de bien ?
Pour recevoir par email les annonces similaires
CRÉER UNE ALERTE
Localisation
DEMANDER L’ADRESSE
Cette annonce vous est proposée par :
23 avis clients
07 73 07 89 76 Appelez de la part de Superimmo.com

Vos informations sont transmises directement à l'agent afin qu’il traite votre demande.