06 14 47 81 97 Appelez de la part de Superimmo.com

Vos informations sont transmises directement à l'agence afin qu'elle traite votre demande. Voir notre charte des données personnelles.

Contacter par email
Description

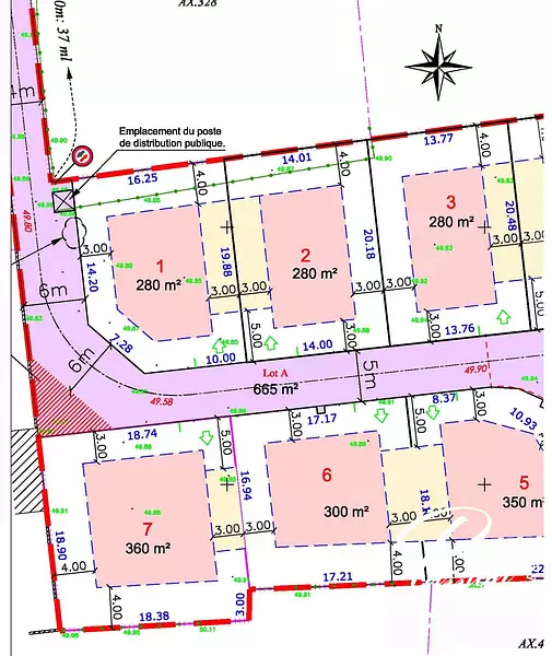
Imaginez-vous construire la maison de vos rêves dans un cadre enchanteur, où chaque lever de soleil vous offre une vue imprenable sur un paysage provençal idyllique. Ce terrain constructible de 280 m², avec une surface constructible de 250 m² et une surface de plancher de 167 m², est l'endroit parfait pour concrétiser vos aspirations.
Situé dans un environnement paisible, ce terrain est viabilisé et prêt à accueillir votre projet de vie. L'assainissement est déjà en place, garantissant ainsi une installation sereine et sans tracas. Vous pourrez profiter d'un accès facile grâce au chemin d'accès, et bénéficier de tous les raccordements nécessaires : eau, électricité et télécoms.
Ce terrain est également piscinable, offrant ainsi la possibilité de créer un espace de détente et de loisirs au coeur de votre propriété. Imaginez-vous, par une belle journée d'été, vous détendre au bord de votre piscine, entouré de la beauté naturelle de la Provence.
En plus de son potentiel constructif, ce terrain est idéalement situé. À seulement 10 minutes à pied, vous trouverez plusieurs commodités essentielles : un arrêt de bus, une crèche, une maternelle, une école élémentaire et plusieurs médecins généralistes. Vous pourrez ainsi profiter d'un cadre de vie familial et pratique.
À 5 minutes à pied, un restaurant vous attend pour des moments de convivialité et de gourmandise. Et à 15 minutes à pied, une alimentation générale vous permettra de faire vos courses quotidiennes sans avoir à vous déplacer loin de chez vous. Un collège est également accessible en 10 minutes en voiture.
Ne manquez pas cette opportunité unique de construire votre nid douillet dans un cadre de vie exceptionnel. Contactez-nous dès aujourd'hui pour plus d'informations et pour organiser une visite de ce terrain enchanteur.
Honoraires inclus de 3.85% TTC à la charge de l'acquéreur. Prix hors honoraires 130 000 €. Les informations sur les risques auxquels ce bien est exposé sont disponibles sur le site Géorisques : georisques.gouv.fr.

Publiée le 29/05/2025 - maj le 06/08/2025 - Réf. agence : VT070-SERGEPOPOVITCH - Réf Superimmo : ANVXYNX1T
Vous rencontrez un problème sur le site ?
Merci de nous signaler le problème
Caractérisques
Prix de vente : 135 000 € Prix en baissePrix au m² : 482 € / m²

Honoraires à la charge de l'acquéreur : 3,85% TTC - 5 000 € TTC inclus dans le prix de vente. Barème d’honoraires : voir le barème

280 m²Terrain constructible
Intéressez par ce type de bien ?
Pour recevoir par email les annonces similaires
CRÉER UNE ALERTE
Historique des prix
6 août 2025

Baisse de 9,4%

135 000 €
29 mai 2025
149 000 €
Localisation
DEMANDER L’ADRESSE
Cette annonce vous est proposée par :
06 14 47 81 97 Appelez de la part de Superimmo.com

Vos informations sont transmises directement à l'agence afin qu'elle traite votre demande. Voir notre charte des données personnelles.