Acheter un terrain à Vallet (44330)

Modifier ma recherche
13 annonces
Catherine Lemierre - iad
Annonce publiée le 17/11/2025 - mise à jour 28/11/2025
Proposée par Catherine Lemierre - iad 17/11/2025 - mise à jour 28/11/2025
4
Terrain, 579 m²

98 000 € 169 €/m²
Terrain • 579 m²

Vallet (44330)

iad France - Catherine Lemierre vous propose: ** SOUS OFFRE ACCEPTÉE ** En Exclusivité - Situé entre Vallet et La Chapelle-Heulin, dans un environnement calme et agréable, ce terrain en second rideau non viabilisé, situé en zone Ah1, offre un cadre privilégié pour la réalisation d’un projet sur mesure. Vous apprécierez son calme, son intimité, ainsi que son fort potentiel pour accueillir une construction répondant à vos besoins. Terrain idéalement orienté, permettant une maison avec pièce de vie exposée plein Sud. Une opportunité rare à découvrir ! Honoraires d'agence à la charge du vendeur. Bien non soumis au DPE. Les informations sur les risques auxquels ce bien est exposé, y compris l'obligation légale de débroussaillement, sont disponibles sur le site Géorisques : http://www.georisques.gouv.fr. La présente annonce immobilière a été rédigée sous la responsabilité éditoriale de Mme Catherine Lemierre mandataire indépendant en immobilier (sans détention de fonds), agent commercial de la SAS I@D France immatriculé au RSAC de NANTES sous le numéro 912923463, titulaire de la carte de démarchage immobilier pour le compte de la société I@D France SAS.

Agent immobilier ?
Diffusez GRATUITEMENT toutes vos annonces sur Superimmo.com
JOANNA MACE - BSK Immobilier
Annonce publiée le 17/11/2025
Proposée par JOANNA MACE - BSK Immobilier 17/11/2025
2
Terrain, 507 m²

111 000 € 219 €/m²
Terrain • 507 m²

Vallet (44330)

Sur la commune de Vallet, en village, venez découvrir ce terrain de 507 m2 avec son ancienne grange à rénover d'environ 80 m2. Le terrain n'est pas viabilisé mais tous les réseaux passent devant. Sous réserve des démarches administratives le bâtiment existant peut être réhabilité et agrandi. Cette annonce référence 290974 vous est présentée par votre agent commercial BSK Immobilier JOANNA MACE (EI) immatriculé au RSAC de ANGERS (49000) sous le numéro 89843754600010. Prix du bien : 111 000,00 € Les honoraires d'agence sont à la charge du vendeur. Les informations sur les risques auxquels ce bien est exposé sont disponibles sur le site Géorisques : www.georisques.gouv.fr

Agence des Forges
Annonce publiée le 26/11/2025
Proposée par Agence des Forges 26/11/2025
2
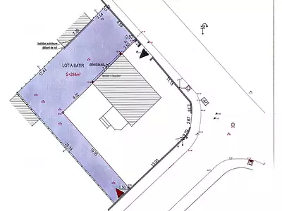
Terrain, 284 m²

82 000 € 289 €/m²
Terrain • 284 m²

Vallet (44330)

Situé en plein centre de Vallet, terrain à bâtir de 284m² . Façade de 8.50 mètres. Zone UB. Certificat d'urbanisme opérationnel positif. Pas de constructeur imposé. Viabilisation à prévoir (à proximité) (9.33 % honoraires TTC à la charge de l'acquéreur.)

Dominique CHARRON - Propriétés-privées.com
Annonce publiée le 06/12/2025
Proposée par Dominique CHARRON - Propriétés-privées.com 06/12/2025
9
Terrain, 1 146 m²

78 500 € 68 €/m²
Terrain • 1 146 m²

Vallet (44330)

49230 Saint Crespin Sur Moine, à la sortie du bourg, Dominique CHARRON vous présente ce terrain de 1146 M², en second rideau, issu d'une division parcellaire, non viabilisé mais avec passage des gaines réalisé sous le voie d'accès déjà empierrée. Tous les réseaux passent devant la propriété existante. Zone constructible environ 420 M² (voir plan de division). Cette parcelle constructible vous est proposé au prix de 78500 euros, honoraires charge acquéreurs de 5500 euros TTC inclus, soit 73000 euros hors honoraires. Les informations sur les risques auxquels ce bien est exposé sont disponibles sur le site Géorisques : www.georisques.gouv.fr N'hésitez pas à me demander la fiche commerciale. Pour visiter et vous accompagner dans votre projet, contactez Dominique CHARRON, agissant sous le statut d'agent commercial auprès de la SAS PROPRIETES PRIVEES, au 06 11 28 11 80 ou par courriel à , RSAC 850401662 Nantes. Mandat référence 421404. Le professionnel garantit et sécurise votre projet immobilier. SAS PROPRIETES PRIVEES, 44 allée des Cinq Continents, ZAC Le Chêne Ferré - Bâtiment C, 44120 VERTOU, carte professionnel CPI 4401 2016 000 010 388 CCI NANTES-SAINT NAZAIRE. (7.53 % honoraires TTC à la charge de l'acquéreur.) Dominique CHARRON (EI) Agent Commercial - Numéro RSAC : NANTES 850401662 - .

GROUPE VIABILIS
Annonce publiée le 05/03/2025 - mise à jour 22/09/2025
Proposée par GROUPE VIABILIS 05/03/2025 - mise à jour 22/09/2025
1
Terrain, 413 m²

90 000 € 218 €/m²
Terrain • 413 m²

Vallet (44330)

VENTE DE TERRAINS CONSTRUCTIBLES DISPONIBLES DANS LA COMMUNE DE VALLET, LOIRE-ATLANTIQUE (44), LE CLOS DU BOIS BRÛLÉ : - 12 terrains à bâtir viabilisés et libres de constructeur - De 413 à 637m2 - A partir de 90 000€ En plein cœur du Vignoble Nantais, Vallet, capitale du Muscadet, est une ville attractive de 9 256 habitants (estimation de l'INSEE au 1er janvier 2019). A 20 minutes de Nantes et à 60 minutes de l'Océan Atlantique, Vallet offre une situation stratégique aux nombreuses entreprises implantées sur le territoire. Avec ses exploitations viticoles, ses caves centenaires encore en activité, ses sentiers pédestres, elle est également une ville d'histoire et de patrimoine, ponctuée de châteaux, d'une église néogothique, et bien d'autres trésors du patrimoine bâti. Vallet possède également de nombreuses infrastructures : Ecoles et collèges, équipements sociaux, installations sportives et de loisirs telles qu'une piscine intercommunale couverte, un cinéma... qui favorisent la qualité de vie au quotidien et participent au dynamisme local. Pour plus de renseignements sur la commune, nous vous invitons à consulter le site officiel :

Stéphane Ardouin - efficity
Annonce publiée le 04/11/2025 - mise à jour 16/11/2025
Proposée par Stéphane Ardouin - efficity 04/11/2025 - mise à jour 16/11/2025
4
Terrain, 424 m²

119 990 € 283 €/m²
Terrain • 424 m²

Vallet (44330)

44330 - VALLET - TERRAIN - 424M² - OPPORTUNITE A SAISIR effiCity, l'agence qui estime votre bien en ligne et votre conseiller Stéphane ARDOUIN, vous propose ce terrain d'une surface de 424m² situé à Vallet en village. Ce terrain, idéalement situé, dispose aussi d'un bâtiment d'environ 35m². Sa surface de 424m² offre de nombreuses possibilités pour la construction de votre futur projet immobilier. De plus, la rue bénéficie du tout-à-l'égout, un avantage indéniable pour votre future construction. Ne manquez pas cette occasion unique. Contactez-moi dès maintenant pour organiser une visite et laissez-vous séduire par les nombreux atouts de ce bien. C'est le moment idéal pour concrétiser votre rêve de construction dans un environnement privilégié. Les informations sur les risques auxquels ce bien est exposé sont disponibles sur le site Georisque : georisques. gouv. fr Stéphane Ardouin - EI - est Agent Commercial mandataire en immobilier, immatriculé au Registre Spécial des Agents Commerciaux du Tribunal de Commerce de Nantes sous le n°479650343. Siège social du mandant : effiCity, 48 avenue de Villiers - 75017 PARIS - Société par Actions Simplifiée, société au capital de 132 373,05 euros, immatriculée au RCS Paris 497 617 746 et titulaire de la Carte professionnelle CPI 7501 2015 000 002 025 - CCI Paris IDF - Caisse de Garantie : GALIAN Assurances 89 rue de la Boétie 75008 Paris

Nestenn Vallet
Annonce publiée le 26/11/2025
Proposée par Nestenn Vallet 26/11/2025
6
Terrain, 439 m²

81 500 € 186 €/m²
Terrain • 439 m²

Vallet (44330)

Nestenn vous propose un terrain constructible en hameau à 7 minutes de Vallet et 4 minutes de la Chapelle Heulin. Terrain constructible avec sa dépendance, la viabilisation en eau est déjà faite. L'électricité reste à proximité et l'assainissement sera autonome. Vous serez dans un environnement au calme et à la campagne. Je vous présente un projet qui devait être réalisé sur le terrain, une maison à étage d'une surface d'environ 103M2 avec un garage de 25M2 environ. Cela peu vous donner une idée, libre à vous. Le terrain est libre de tous constructeur !!! "Les informations sur les risques auxquels ce bien est exposé sont disponibles sur le site Géorisques : www.georisques.gouv.fr" (8.67 % honoraires TTC à la charge de l'acquéreur.)

LE NiD IMMOBILIER
Annonce mise à jour le 28/06/2025
Proposée par LE NiD IMMOBILIER 28/06/2025
3
Terrain, 500 m²

Prix en baisse 131 990 € 264 €/m²
Terrain • 500 m²

Vallet (44330)

MAGNIFIQUE TERRAIN A BATIR, A 5 MN DU CENTRE, TERRAIN EN GRANDE PARTIE CLOTURE ET ARBORE, D'ENVIRON 500 M2, POSSIBILITE UN PEU PLUS... SUPERBE EXPOSITION, AU CALME ! RESEAUX JUSTE DEVANT LE TERRAIN, Y COMPRIS LE TOUT A L'EGOUT !!! CERTIFICAT D'URBANISME OPERATIONNEL OBTENU. Le prix comprend les honoraires d'agence, 6990 euros TTC, à la charge de l'acquéreur, soit 5.59 % du prix net vendeur. Prix hors honoraires d'agence, 125 000 euros net vendeur. CARTE PROFESSIONNELLE D'AGENT IMMOBILIER N°CPI44012020044045 IMMATRICULE AU RCS ANGERS. (5.59 % honoraires TTC à la charge de l'acquéreur.)

CREATIK SOLUTION
Annonce publiée le 06/01/2025 - mise à jour 06/10/2025
Proposée par CREATIK SOLUTION 06/01/2025 - mise à jour 06/10/2025
1
Terrain, 600 m²

151 448 € 252 €/m²
Terrain • 600 m²

Vallet (44330)

Bâtissez votre maison certifiée RE2020 avec Creatik Solution sur cette parcelle constructible et viabilisée, au cœur d'une grande ville disposant de tous les services nécessaires, et à 15 min du périphérique nantais, côté sud ! Photos non contractuelles, sous réserve de disponibilité auprès de notre partenaire foncier. Tous nos plans sont réalisés sur mesure en fonction de vos besoins et de votre budget, frais de notaire INCLUS ! Ne laissez pas passer l'opportunité de devenir propriétaire !

Agence des Forges
Annonce publiée le 13/06/2025 - mise à jour 20/11/2025
Proposée par Agence des Forges 13/06/2025 - mise à jour 20/11/2025
10
Terrain, 121 m²

Prix en baisse 89 900 € 743 €/m²
Terrain • 121 m²

Vallet (44330)

Située en centre-bourg de Vallet dans une rue calme et à proximité immédiate de toutes les commodités : Parcelle de terrain d'environ 121m² avec bâtisse (à réhabiliter ou à démolir) permettant une construction neuve d'environ 106m². Les plans proposés (suggestion) permettent d'envisager une maison avec étage proposant 3 chambres (dont 1 suite parentale avec salle d'eau) - un bureau - une pièce de vie d'environ 30m² - un cellier - une salle de bains - 2 wc - une courette à l'avant et une terrasse à l'arrière... Coût de revient de l'opération avec construction ne dépassant pas les 290.000 euros en tout. Permis de construire déjà accordé et transmissible. Plans disponibles. Tout à l'égout dans la rue - Tableau électrique existant... (6.39 % honoraires TTC à la charge de l'acquéreur.)

Agence Duret Vallet
Annonce mise à jour le 08/12/2025
Proposée par Agence Duret Vallet 08/12/2025
6
Terrain, 507 m²

Prix en baisse 111 900 € 221 €/m²
Terrain • 507 m²

Vallet (44330)

'vos agences DURET IMMOBILIER vous accueillent téléphoniquement du lundi au samedi de 8h00 à 19h00 sans interruption. ' Axe Nantes - Cholet, Commune de Vallet L'agence Duret vous propose à l'achat ce terrain non viabilisé d'une superficie de 500 m2. Eau, Electricité, assainissement, passent devant le terrain. Bâtiment existant d'une superficie d'environ 80 m2. En vente à l'agence Duret de Vallet. EMR Honoraires inclus de 6.57% TTC à la charge de l'acquéreur. Prix hors honoraires 105 000 €. Les informations sur les risques auxquels ce bien est exposé sont disponibles sur le site Géorisques : georisques.gouv.fr.

MASSIDDA Vincent - REVO IMMO
Annonce publiée le 01/08/2025 - mise à jour 09/10/2025
Proposée par MASSIDDA Vincent - REVO IMMO 01/08/2025 - mise à jour 09/10/2025
2
Terrain, 10 254 m²

15 000 € 1 €/m²
Terrain • 10 254 m²

Vallet (44330)

Pour les amoureux de la nature qui souhaitent preserver les epaces verts, ou pour qui veut exploiter le bois, à Vallet, 44 au lieu dit le Les Pellerins, Revo Immo vous propose cette parcelle boisée de peupliers de plus de 1ha Cette peupleraie est facilement accessible et exploitable Non constructible SAS REVO IMMO - MASSIDDA Vincent EI - 07 86 96 48 83 - Plus d'informations sur (réf. 4901050703). Agent commercial RSAC ANGERS 522 862 119 - Honoraires : 3 000 € TTC (25 %) inclus charge acquéreur (12 000 € hors honoraires) - Les informations sur les risques auxquels ce bien est exposé sont disponibles sur le site Géorisques : https://www.georisques.gouv.fr/.

LE NiD IMMOBILIER
Annonce mise à jour le 29/06/2025
Proposée par LE NiD IMMOBILIER 29/06/2025
2
Terrain, 800 m²

Prix en baisse 167 990 € 210 €/m²
Terrain • 800 m²

Vallet (44330)

NOUVEAUTE ET EXCLUSIVITE !!! MAGNIFIQUE TERRAIN A BATIR, LIBRE DE CONSTRUCTEUR, A 5 MN DU CENTRE, TERRAIN CLOTURE ET ARBORE, D'ENVIRON 800 M2, AVEC ABRI DE JARDIN, DE CONSTRUCTION TRADITIONNELLE. SUPERBE EXPOSITION, AU CALME ! LE TOUT -A L'EGOUT PASSE DANS LA RUE. PROJET DE PLAIN-PIED EXIGE. AUTORISATION ADMINISTRATIVE EN COURS. (4.99 % honoraires TTC à la charge de l'acquéreur.)