06 88 69 77 08 Appelez de la part de Superimmo.com

Vos informations sont transmises directement à l'agence afin qu'elle traite votre demande. Voir notre charte des données personnelles.

Contacter par email
Description

Maison neuve 120 m² - CHATEAUBOURG
🏡 Maison neuve clé en main – Terrain + projet de construction à Châteaubourg
L’agence Alternative Immobilier vous propose en exclusivité une opportunité rare dans le lotissement HORIZON, à deux pas du centre-ville de Châteaubourg et des berges de la Vilaine.
🌟 Une offre clé en main :
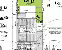
Sur le lot n°12, profitez d’un terrain viabilisé et borné de 273 m², exposé plein sud, avec un permis de construire déjà engagé pour une maison moderne de 120 m² habitables, 4 chambres + garage de 16 m².
Un dossier complet a été spécialement préparé pour vous afin de concrétiser rapidement et sereinement votre projet de vie.
🏠 La maison proposée en projet :
Surface habitable : 120 m²
Garage : 16 m²
Architecture contemporaine
Optimisation des espaces et orientation idéale
Accès rapide au centre-ville et à la gare : 10 min à pied ou à vélo via des voies douces sécurisées
📞 Contactez Damien CROYAL au 06 88 69 77 08

Publiée le 18/06/2025 - maj le 05/12/2025 - Réf. agence : 925.7 - Réf Superimmo : ANVXYU66Q
Vous rencontrez un problème sur le site ?
Merci de nous signaler le problème
Caractérisques
Prix de vente : 313 980 €Prix au m² : 2 617 € / m²

3 822 € TTC inclus dans le prix de vente. Barème d’honoraires : voir le barème

120 m² - 5 pièces - 4 chambres - ter. 273 m²Orientation : Sud
Cuisine de 10 m²Séjour de 35 m²
Intéressez par ce type de bien ?
Pour recevoir par email les annonces similaires
CRÉER UNE ALERTE
Historique des prix
19 juin 2025

hausse de 342,3%

313 980 €
18 juin 2025
70 980 €
Localisation
DEMANDER L’ADRESSE
Cette annonce vous est proposée par :

Vos informations sont transmises directement à l'agence afin qu'elle traite votre demande. Voir notre charte des données personnelles.

Autres recherches

toutes les maisons de 5 pièces à Châteaubourg